| 価格 | 2,490万円 ![]() |
||||
|---|---|---|---|---|---|
| 所在地 | 埼玉県川越市豊田町2丁目
この地域周辺の物件を見る |
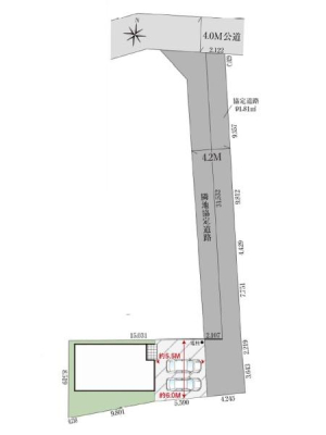
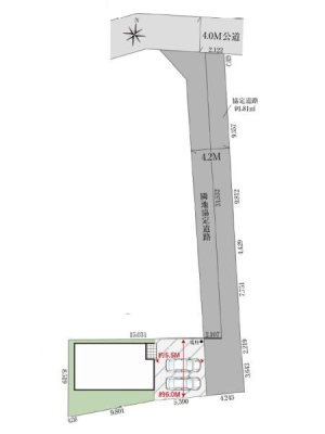
土地面積 | 110.28m² (33.36坪) | 建物面積 | 95.58u |
| 築年月 | 2019年3月築 | 間取り | 3SLDK (LDK18/洋室5/洋室5.25/洋室7.5/S4.5) | ||
| 交通 |
西武新宿線 南大塚 徒歩27分
東武東上線 川越 徒歩31分 東武東上線 川越市 徒歩32分 |
||||
センチュリー21クレド 坂戸本店
電話をかける(携帯・PHS可)
0120-89-9010
「ホームページを見た」とお伝え下さい。
お問い合わせ番号をお伝えください
RHS-143601-9115
| 特徴 |
|
|---|---|
| セールスコメント | 住宅ローンやお買換え・下取等のご相談も賜っております。 有中国籍員工中文対応! |
| 採光面 | - | 構造/階数 | 木造/地上2階建 |
|---|---|---|---|
| 建ぺい率 | 60(%) | 容積率 | 200(%) |
| 駐車場 | 有 | 現況/引渡し | 空家/即時 |
| 土地権利 | 所有権 | 私道負担面積 | - |
| 接道状況 | 接道: 北 公道 道路幅: 4m | 用途地域 |
第一種住居地域
|
| セットバック | - | 法令上の制限 | - |
| 地目 | 宅地 | 地勢 | 平坦 |
| 建築確認番号 | 都市計画 | 市街化区域 | |
| 取引態様 | 仲介 | ||
| 情報更新日 | 2026年04月10日 | 次回更新日 | 2026年04月24日 |
| 小学校区 | 大東東小学校 (川越市) この学区の他の物件を見る |
中学校区 | 大東中学校 (川越市) この学区の他の物件を見る |
|---|
センチュリー21クレド 坂戸本店
電話をかける(携帯・PHS可)
0120-89-9010
「ホームページを見た」とお伝え下さい。
お問い合わせ番号をお伝えください
RHS-143601-9115
| 価格 | 万円 | ||
|---|---|---|---|
| 年利率 | % |
||
| ボーナス払い | 返済年数 | ||
| 頭金 | 直接入力する | 万円 | |

毎月のご返済額 |
ボーナス(×年2回) |
物件価格2,490万円 |
センチュリー21クレド 坂戸本店
電話をかける(携帯・PHS可)
0120-89-9010
「ホームページを見た」とお伝え下さい。
お問い合わせ番号をお伝えください
RHS-143601-9115
SEARCH FOR HOME
フリーワードから探す
ESTATE FOR SALE

人気の条件から検索
■2019年築!トランクルームなど収納充実の3SLDK
■並列2台
■一部リフォーム実施
■商業施設、教育機関も近隣に充実
■建物2年保証、既存住宅かし保険料